
An der Via Appia kann man den riesigen Circus des Maxentius und das Grab des Romolus besichtigen.
Kaiser Maxentius kam 306 n.Chr. an die Macht, einer Zeit als das Römische Reich unter vier Kaisern aufgeteilt war. Vier Kaiser die in Trier und Mailand, in Thessaloniki und in Antiochia residierten. Da die Römer befürchteten, dass ihnen nun auch noch die letzten Hauptstadtfunktionen verloren gehen könnten, erhob die Prätorianergarde den Sohn von Kaiser Maximian am 28. Oktober des Jahres zu ihrem Herrscher und fünften Kaiser. In der unübersichtlichen Lage setzte sich schließlich Konstantin durch der 324 zum Alleinherrscher aufstieg. Bereits 312 jedoch besiegte er Maxentius in der berühmten Schlacht an der Milvischen Brücke. Ausgerechnet am Tag seines sechsten Thronjubiläums stürzte Maxentius dabei in den Tiber und ertrank.
Maxentius war der letzte Kaiser, der in Rom residierte und das letzte große Bauprogramm der Antike initiierte. Am Forum Romanum kündet noch seine riesige Basilika davon.

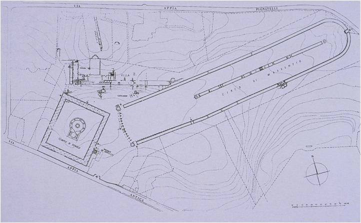
An der Via Appia baute er seine prächtige Residenz. Die Reste der zentralen Aula ragen noch über die Baumwipfel. Der Palast wird zurzeit noch ausgegraben und ist (noch) nicht zugänglich. Östlich des Palastes ließ der Kaiser einen großen Circus, eine Pferderennbahn, mit den Ausmaßen 531 x 91 m errichten. Mit 10.000 Zuschauerplätzen ist er zwar wesentlich kleiner als sein Vorbild, der Circus Maximus, dafür aber auch wesentlich besser erhalten. Er sollte wohl nicht nur für Pferderennen, sondern auch für Freiluftaudienzen des Kaisers und Triumphzüge dienen.
Von der Via Appia aus sieht man die zwei runden Ecktürme zwischen denen die Carceres, die Boxen, aus denen die Pferdewagen starteten, lagen. Wenn wir an den Resten der Zuschauertribünen entlangwandern, können wir uns gut vorstellen, wie tausende Fans ihren favorisierten Wagenlenker anfeuerten. Die Kaisertribüne hatte einen direkten Zugang zum Palast. In der Mitte ist noch gut die Spina, die Mauer, die die Bahnen trennte, zu sehen. Hier wurde einst der Obelisk aufgestellt, der 1650 von Bernini auf die Piazza Navona versetzt wurde.

Am Rande der Anlage direkt an der Via Appia ließ der Kaiser eine gewaltige Grabanlage für seine Familie bauen. In einem quadratischen Pfeilerumgang stand das Grabmal, das wahrscheinlich dem Pantheon sehr ähnlich war. Erhalten ist heute nur noch der Unterbau mit der Gruft. Die vielen Nischen zeigen, dass Maxentius hoffte eine Dynastie zu gründen, die lange über Rom herrschen sollte. Doch wahrscheinlich wurde nur sein Sohn Valerius Romulus tatsächlich hier begraben. Maxentius hatte ihn schon frühzeitig zu seinem Nachfolger aufgebaut und muss bestürzt gewesen sein, als er bereits mit 14 Jahren starb. Maxentius selbst wurde ein würdevolles Begräbnis verwehrt. Konstantin ließ seinem ertrunkenen Rivalen den Kopf abschneiden und auf eine Tournee durch alle wichtigen Städte des Reichs schicken. Den Körper warf man in den Tiber zurück.
Das Grabmal wurde später von Bauern als Schafstall genutzt. Anstelle des Portikus errichteten die Grafen Torlonia, die das Anwesen als letzte besaßen, ein Gasthaus, das heute noch vor dem Rundbau steht.
Quellen: Seite der Museen in Rom, Bisanzio.it mit Bildern und Plänen, Spektrum.de über Maxentius



Hinterlasse einen Kommentar